






Reserviert
Referenz Nr.
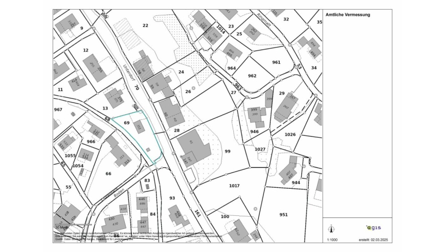
Immobilien Wölflinswil, Bauland Unterdorf Wölflinswil
-
Gebäude
Objekttyp
Beschreibung
Die Pazelle befindet sich an der Hauptstrasse im unteren Teil von Wölflinswil, zwischen der Hauptstrasse und dem Dorfbach, der die Grenze zur Parzelle bildet. Die Postautohaltestelle befindet sich direkt bei der Parzelle.
Öffentliche Verkehrsmittel, Einkaufsmöglichkeiten, Kindergarten und Schulen liegen in Gehdistanz. Grössere Ortschaften wie Frick oder Aarau sind mit ÖV oder mit dem Individualverkehr erreichbar.
Wichtige Details:
Parzelle Nr. 69
Strasse, Ort Hauptstrasse 351 Wölflwinswil
Objektart Bauland Wohnen
Baulandfläche 759 m2
Bauzone W2
Ausnützungsziffer 0.50
Erschliessung bis Parzellengrenze
Architekturverpflichtung Nein
BAUZONE W2
Die Wohnzone W2 dient dem Wohnen und ist für Ein- und Zweifamilienhäuser sowie Reihen- und Mehrfamilienhäuser bestimmt. Nicht störende Betriebe sind zugelassen.
Massgebend ist die Bauordnung der Gemeinde Wölflinswil.
Es wurden keine Abklärungen über bauliche Möglichkeiten gemacht. Dies ist Sache der Interessenten und des Käufers.
AUSNÜTZUNG
Das Dachgeschoss gemäss § 24 BauV darf zweistöckig sein. Es wird nicht als Vollgeschoss und auch nicht zur Ausnützung angerechnet, wenn folgende Voraussetzungen erfüllt sind:
- keine Dachaufbauten oder Dacheinschnitte auf mehr als 1/3 der Fassadenlänge,
- durchschnittliche Dachneigung nicht mehr als 45 Grad, und
- Kniestockhöhe nicht mehr als 1.20 m.
Attikageschosse gemäss § 25 BauV werden der Ausnützungsziffer nicht angerechnet.
Massnahmen infolge Hochwassergefahrenzone müssen mit der Bauverwaltung abgeklärt werden.
Ein allfälliger Abbruch der bestehenden Gebäude ist Sache des Käufers.
Die Liegenschaft auf der gegenüberliegenden Strassenseite ist im Eigentum desselben Verkäufers und soll ebenfalls verkauft werden. Siehe separate Ausschreibung.