





Reserviert
Referenz Nr.
Immobilien Wallbach, Attraktives Bauland (Abparzellierung möglich) - direkt am Rhein mit Blick ins Grüne
-
Gebäude
Objekttyp
Beschreibung
Hier geniessen Sie Ruhe, Sonne und Natur
Die Liegenschaft befindet sich an sonniger und ruhiger Lage, in einem beliebten Wohnquartier, mit wunderschönem Ausblick ins Grüne. Da es sich bei der Adresse um eine reine Quartierstrasse handelt, gibt es keinen Durchgangsverkehr. Das umliegende Wohnquartier ist bevorzugt, ruhig und ist geprägt durch gepflegte Einfamilienhäuser. Der Rhein ist nur wenige Schritte vom Haus entfernt. Freuen Sie sich auf herrliche Spaziergänge am Rheinufer und erleben Sie Natur pur.
Öffentliche Verkehrsmittel, Einkaufsmöglichkeiten, Kindergarten und Schulen liegen in Gehdistanz. Grössere Ortschaften wie Rheinfelden oder Basel sind mit ÖV oder mit dem Individualverkehr erreichbar.
Wichtige Details
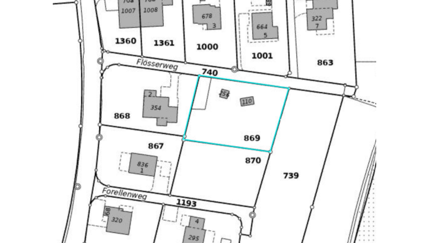
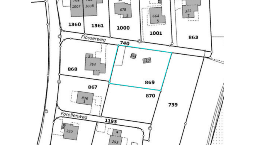
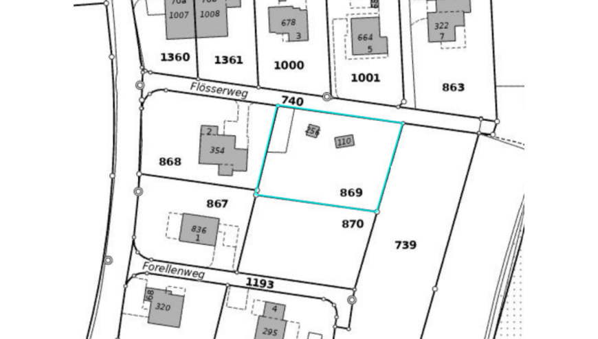
Parzelle Nr. 869
Strasse, Ort Flösserweg, Wallbach AG
Objektart Bauland Wohnen
Baulandfläche 953 m2 (Abparzellierung je 1/2 möglich)
Bauzone W2
Ausnützungsziffer 0.40
Erschliessungsstand erschlossen
Architekturverpflichtung Nein
BAUZONE W2
Die Wohnzone W2 dient dem Wohnen. Nicht störendes Gewerbe ist zugelassen.
In der Zone W2 sind Einfamilienhäuser mit einer kleinen Zweitwohnung, Doppeleinfamilienhäuser sowie Reiheneinfamilien- und Terrassenhäuser mit maximal 3 Wohneinheiten zulässig.
Massgebend ist die Bauordnung der Gemeinde Wallbach. Es wurden keine Abklärungen über bauliche Möglichkeiten gemacht. Dies ist Sache der Interessenten und des Käufers.
AUSNÜTZUNG
Betreffend Ausnützungsziffer gelten die Definitionen gemäss kantonalem Recht. Zudem wird die Fläche in Dach-, Attika- und Untergeschossen nicht zur anrechenbaren Bruttogeschossfläche gezählt.
Wir freuen uns auf Ihre Kontaktanfrage.
Ausstattungsliste
- Bauland erschlossen
- Kinderfreundlich