Referenz Nr.

Immobilien Wallbach, Attraktives Bauland (Abparzellierung möglich) - direkt am Rhein mit Blick ins Grüne

  • Gebäude

    Objekttyp

  • 1'200 CHF

    Kaufpreis

Beschreibung

Hier geniessen Sie Ruhe, Sonne und Natur 

Die Liegenschaft befindet sich an sonniger und ruhiger Lage, in einem beliebten Wohnquartier, mit wunderschönem Ausblick ins Grüne. Da es sich bei der Adresse um eine reine Quartierstrasse handelt, gibt es keinen Durchgangsverkehr. Das umliegende Wohnquartier ist bevorzugt, ruhig und ist geprägt durch gepflegte Einfamilienhäuser. Der Rhein ist nur wenige Schritte vom Haus entfernt. Freuen Sie sich auf herrliche Spaziergänge am Rheinufer und erleben Sie Natur pur.
Öffentliche Verkehrsmittel, Einkaufsmöglichkeiten, Kindergarten und Schulen liegen in Gehdistanz. Grössere Ortschaften wie Rheinfelden oder Basel sind mit ÖV oder mit dem Individualverkehr erreichbar.

Wichtige Details

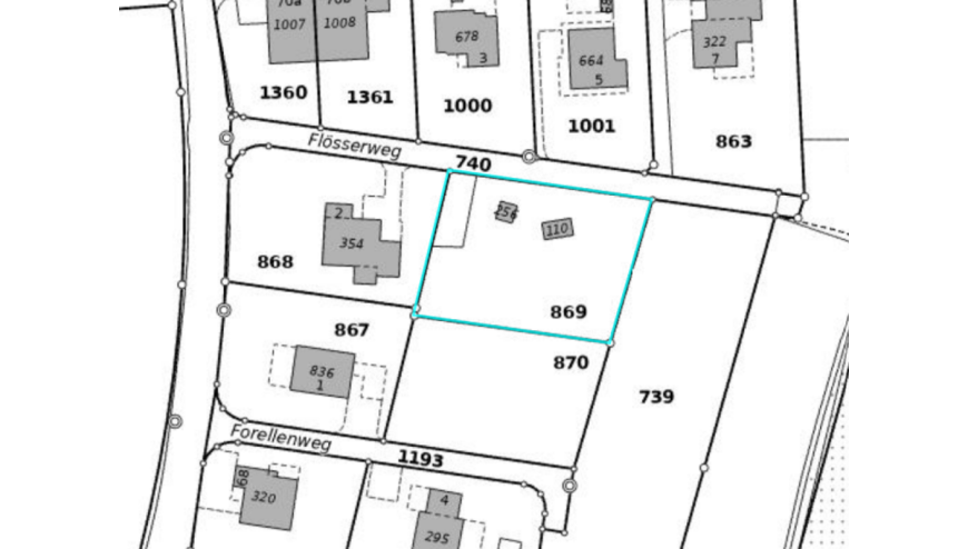
Parzelle Nr.                     869

Strasse, Ort                    Flösserweg, Wallbach AG

Objektart                       Bauland Wohnen                

Baulandfläche                953 m2 (Abparzellierung je 1/2 möglich)

Bauzone                        W2 

Ausnützungsziffer          0.40

Erschliessungsstand        erschlossen

Architekturverpflichtung   Nein

BAUZONE    W2 

Die Wohnzone W2 dient dem Wohnen. Nicht störendes Gewerbe ist zugelassen.
In der Zone W2 sind Einfamilienhäuser mit einer kleinen Zweitwohnung, Doppeleinfamilienhäuser sowie Reiheneinfamilien- und Terrassenhäuser mit maximal 3 Wohneinheiten zulässig.
Massgebend ist die Bauordnung der Gemeinde Wallbach. Es wurden keine Abklärungen über bauliche Möglichkeiten gemacht. Dies ist Sache der Interessenten und des Käufers.

AUSNÜTZUNG

Betreffend Ausnützungsziffer gelten die Definitionen gemäss kantonalem Recht. Zudem wird die Fläche in Dach-, Attika- und Untergeschossen nicht zur anrechenbaren Bruttogeschossfläche gezählt.

Wir freuen uns auf Ihre Kontaktanfrage.

 

 

Ausstattungsliste

  • Bauland erschlossen
  • Kinderfreundlich

Haben Sie Fragen? Kontaktieren Sie uns

Carlo Rinaudo

Telefon: 0793913858
E-Mail: carlo.rinaudo@rinaudo-kiss.ch

Bewerbungsformular – Attraktives Bauland (Abparzellierung möglich) - direkt am Rhein mit Blick ins Grüne, Wallbach

* Pflichtfelder